Листовійка (Tortricidae або Olethreutidae) є представником сімейства метеликів, яке об'єднує більше 1000 пологів і приблизно 10 тисяч видів. Зустріти її можна в будь-якій частині земної кулі, проте велика частина різновидів знаходиться в тропічних лісах Азії.
Зміст
Особливості листовійки

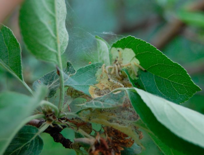
Метелик листовійка зовні схожа з метеликом або міллю. Розмах крил не перевищує у неї 25 мм. Як правило, тіло у неї товсте і має щільне покриття, що складається з волосків. Крила складаються на спині горизонтально. Довжина практично голих гусениць даних метеликів варіюється від 10 до 20 мм, у них є 16 ніжок, головка бурого або чорного забарвлення і блідо-зеленого або світло-жовте тіло. На кільцях черевця у гусениць є пояс, на якому розташовуються гачки. Шкоди рослинам завдають саме гусениці, а не дорослі метелики.
У досить великому сімействі листовійок найкраще обособилась всього пара пологів, а саме: побеговьюны ―вони пожирають пагони і бруньки хвойних рослин і плодожерки ― вони шкодять садовим чагарниках і деревах. Всі інші шкідники, що відносяться до даного сімейства, ушкоджують майже всі частини різних культур як надземні, так і підземні (коріння). Нижче буде детально розказано саме про листовертках плодожорках.
Листовійка здатна дуже сильно нашкодити садовим чагарниках і деревах, вона пошкоджує листя рослин. Гусениці ховаються в листі і загортають їх у трубки або пучки, при цьому вони стягують їх павутиною. Так як існує величезна кількість різних видів листовійок, які між собою мають масу відмінностей, то в кожному з розділів буде описаний конкретний вид листовійки, який здатний нашкодити певного садовому чагарнику або дерева.
Боротьба з листокруткою в саду

Боротися з листовійкою можна трьома способами: хімічним, механічним і біологічним. Завдяки механічних способів боротьби можна знищити гусениць даного шкідника або створити перешкоду, яке буде захищати ділянку від білокрилки. До таких методів належать: обрізання і спалювання листя згорнутої шкідником, а ще струшування гусениць з рослини. Також для того щоб позбутися від шкідливої комахи механічним шляхом, можна використовувати ловчі пояси і різноманітні пастки, які призначені не тільки для збору, але і для знищення листовійок. Такі пристосування не завдають ніякої шкоди як тваринам, так і людині, а ще вони не забруднюють природу.
Біологічні способи боротьби з таким комахам передбачають використання для цього його природних ворогів. А точніше, на ділянку рекомендується залучати птахів. Головним ворогом листовійок є синиця. Вона знищує як дорослих метеликів, так і гусениць. Для того щоб її не тільки залучити на ділянку, але і утримати на ньому, з осені на деревах рекомендується розвісити годівнички, в які кладуться непідсмажене насіння і несолоне сало.
Найбільшою ефективністю відрізняються хімічні способи боротьби з шкідником, з допомогою яких можна знищити як метеликів, так і їхніх гусениць. Але в цьому випадку потрібно врахувати, що такий шкідник може дуже швидко адаптуватися до токсинів, у зв'язку з цим використовуються для обробки препарати потрібно регулярно замінювати або чергувати. Крім цього токсини, що входять до складу хімічних засобів, під час обприскування рослини виявляються на поверхні плодів, і якщо людина їх з'їсть, то вони можуть завдати шкоди його організму. У зв'язку з цим фахівці радять використовувати хімічні препарати тільки тоді, коли число листовійок буде вища порогу шкідливості: якщо при огляді однієї гілки на ній було виявлено 5 або більшу кількість гусениць, то це означає, що рослина необхідно обприскати спеціальним інсектицидним препаратом.
Боротися з листокруткою потрібно не тільки на тих рослинах, на яких вона була помічена. Слід обробляти всі дерева і чагарники, тому що личинки такого комахи з легкістю можуть перебратися на іншу рослину, просто вислизнувши з згорнутої листя. Крім цього не можна забувати про заходи профілактики, які допоможуть захистити сад від появи цього шкідника. Щоб своєчасно розпочати боротьбу з шкідником, потрібно щодня оглядати садові культури. Справа в тому, що поки шкідників мало, позбутися від них набагато простіше.
Дорослу метелика набагато складніше знищити, ніж гусеницю листовійки. Про те, які засоби рекомендується використовувати для обробки конкретної культури від листовійки, буде докладно розказано в інших розділах даної статті. Проте слід врахувати, що якщо гусениці встигли загорнутися в листя, то навіть самий потужний інсектицид не зможе їх знищити. Тому такі згорнуті листя з шкідником зрізають і спалюють.
Хімічні препарати

Всі інсектицидні препарати, використовувані для боротьби з листовійкою, поділяють на контактні та системні. Контактні засоби є менш токсичними, але вони також відрізняються і не занадто високою ефективністю. Системні інсектицидні засоби відрізняються більшою ефективністю, але і коштують вони порівняно дорожче.
В цілях профілактики, а також у тому випадку, якщо в саду виявлено трохи шкідників, найчастіше використовуються такі хімічні засоби:
- Алатар. Це універсальне інсектицидний засіб. Для приготування робочого розчину, який використовується для обприскування садових чагарників і дерев, з'єднують одне відро води і 3-5 мг препарату.
- Карбофос, або Фуфанон ― це інсектицидний препарат широкого спектру дії. Готують розчин наступним чином: 1 літр води з'єднують з 1 миллиграммом кошти, а в особливих випадках кількість інсектициду збільшують до двох міліграмів.
- Дурсбан. В одному відрі води розчиніть від 10 до 20 міліграм даного инсектоакарицидного кошти.
- Атом, Десант, Дітокс і Біном. Всі ці препарати є інсектицидами широкого спектру дії. Для обробки готується розчин, для цього з'єднують 1 л води з 1 мл засобу.
- Актара. Таке інсектицидний засіб широкого спектру дії також застосовується в боротьбі з листокруткою. Для обприскування кущів приготуйте розчин ― на одне відро води береться 8 міліграм препарату.
- Актеллік. Інсектоакарицидний препарат кишково-контактної дії. На 1 л води береться 1 мл засобу.
Також досить ефективно знищують гусениць такі біологічно активні засоби, як: Дендробациліну, Лепідоцид і Бітоксибацилін.
Позбутися від листовійки досить складно, у зв'язку з цим обприскувати рослини доведеться кілька разів з перервою в 1-1,5 тижня.
У разі, коли на садових культурах знаходиться велика кількість шкідників, тоді для боротьби з ними рекомендується використовувати більш потужні кошти. Сховалися в листі личинок винищують синтетичними піретроїдами, наприклад: Айвенго, Альфацин, Фатрин, Фастак і Акорд. При використанні даних коштів потрібно строго слідувати інструкції (дивіться на упаковці), при цьому температура повітря не повинна перевищувати 23 градуси, якщо буде спекотніше, то препарати не подіють. Пам'ятайте про те, що піретроїди відрізняються дуже високою токсичністю для людини, тому фахівці радять використовувати лише тоді, коли інші способи виявилися низькоефективними. Ще швидко позбутися шкідника можна і з допомогою пестицидів, наприклад: Інта-Вир, Ровикурт, Ф'юрі і Кінмікс. Однак ці кошти так само є дуже небезпечними для людини.
Народні засоби

У тому випадку якщо шкідників на деревах і кущах не занадто багато, тоді спробувати їх винищити можна за допомогою народних засобів. Є кілька народних засобів, які досить ефективні у боротьбі з листовійкою, але при цьому абсолютно безпечні для людини, так і для тварин. Наприклад:
- Відвар полину. Для його приготування знадобиться з'єднати 10 літрів води з 0,7–0,8 кг сухого полину або з ½ частиною відра подрібненої свіжої трави. Суміш повинна настоятися протягом двох днів, після чого її кип'ятять протягом 30 хвилин на невеликому вогні. Доведіть об'єм остиглого і процідженого кошти до 10 літрів. Перед обробкою засіб розводять водою у співвідношенні 1:1.
- Настій тютюну. У відро гарячої води додають півкілограма махорки або тютюнової пилу. Настій буде готовий через 2 дні, його проціджують через марлю і віджимають. Засіб розбавляють водою у співвідношенні 1:1. Перед обробкою у кожному відрі готового засобу розчиняють 40 г подрібненого на терці мила (можна взяти рідке мило). Даний настій токсичний для людини, у зв'язку з цим під час обробки не забувайте про заходи обережності.
- Відвар бадилля помідорів. Відро води з'єднують з чотирма кілограмами дрібно порізаних коренів і свіжої зеленої бадилля помідорів, дають настоятися суміші від трьох до чотирьох годин. Потім її півгодини кип'ятять на невеликому вогні, коли засіб охолоне, його проціджують, при цьому рослинні залишки потрібно віджати. У щільно закритих пляшках зі скла зберігати відвар можна протягом 12 місяців, але тільки в прохолодному місці. Перед використанням відвар розводять водою (1:1), при цьому на кожні 10 літрів готового розчину кладуть 40 грам подрібненого мила.
- Настій бадилля картоплі. Відро теплої води з'єднують з чотирма кілограмами свіжої бадилля картоплі (сухої гички беруть в 2 рази менше). Настій буде готовий через 3 або 4 ч. Коли він буде проціджений, в нього кладуть 40 грам мила.
Дані народні засоби досить добре борються з гусеницями в тому випадку, якщо кущі та дерева ними обприскуються незадовго до того, як вони зацвітуть і по закінченню цвітіння. Щоб позбутися від дорослих особин листовійок (метеликів), знадобиться розчин меляси, почало бродити варення, компот із сухофруктів або хлібний квас. Наповніть ним скляну банку об'ємом 1 літр на 1/3 частину, потім підвісьте її ввечері на дереві не менше ніж на півтораметровій висоті. Там «пастка» повинна пробути ніч. У ранковий час приберіть банку, так як в неї можуть потрапити не тільки шкідники, але і корисні комахи, а ще дорослі листовійки в денний час не літають, а ховаються на деревних гілках і стовбурах.
Заходи профілактики

Як правило, абсолютно здорові і сильні рослини шкідники обходять стороною. А в першу чергу листовійки селяться на ослаблених хворобою або неналежним відходам культурах. Пам'ятайте про агротехнічних правилах культур, а ще забезпечте їм своєчасний догляд, для цього рослини потрібно вчасно полоти, поливати, обрізати і підгодовувати. Слідкуйте за тим, щоб крони рослин не були надмірно загущене, а ще, щоб у ґрунті була достатня кількість поживних речовин і вологи, але пам'ятайте про те, що як їх нестача, так і надлишок можуть нашкодити і чагарниках і деревах. Якщо пристовбурне коло заріс травою, то це збільшує ймовірність появи листовійки. Слідкуйте за тим, щоб грунт у пристовбурних кіл був завжди м'який.
Для того щоб не допустити поширення гусениць листовійки по саду, потрібно щодня прибирати з-під рослин облетевшую листя і плоди, особливо якщо на них оселилася плодожерка. У дерев ранньою весною проводять очищення кори, для цього прибирають відмерлі частини, після цього поверхню штамба покривають зверху вапняним молоком, яке змішують з крейдяним розчином або мідним купоросом, а ще у нього додають Карбофос (2%). Постарайтеся запобігти появи на деревах морозобоїн та механічних пошкоджень.
Профілактичні обробки

Для того щоб запобігти появи на садовій ділянці листовійок, фахівці радять, систематично проводити обробки в профілактичних цілях. Перший раз за сезон рослини обробляють ранньою весною відразу ж після того, як скелетні гілки і штамби дерев будуть очищені і побілені. Обробку проводять до того, як почнеться сокорух, при цьому температура повітря повинна бути не нижче 10 градусів, а якщо на вулиці буде холодніше, то личинки будуть ховатися під корою, і використовується для обприскування препарат на них подіяти не зможе.
В цілях профілактики рослини обробляють такими засобами, як Кінмікс або Децис, при цьому не забувайте слідувати інструкції. Дані кошти використовують також і для подальших обробок, що проводяться незадовго до того, як рослини зацвітуть і відразу ж по закінченню цвітіння. Під час росту плодів плодові чагарники і дерева так само обприскують в цілях профілактики, для цього можна використовувати Карбофос, Іскру, Кінмікс, Ф'юрі, Кемифос, Циткор або Децис. Після цього культури перестають обприскувати хімікатами, проте як і раніше потрібно регулярно прибирати облетіли плоди і листя, обривати з рослин листя, згорнуту листовійкою, а ще регулярно вішати пастки і використовувати ловчі пояси для обв'язки дерев. Коли закінчиться листопад, очистіть садовий ділянку від листя і взрыхлите грунт у пристовбурних колах. Потім чагарники та дерева, а також поверхню землі під ними обприскують мідним купоросом або бордоською сумішшю.
Листовійка на деревах
Листовійка на яблуні

На яблуні може оселитися кілька видів листовійок:
- Почковая листовійка, або вертунья. Передні крила у такий метелики мають білувато-жовтим забарвленням. Прикореневе поле має бурувато-сірий колір з блакитним відливом, а майже поруч з верхнім краєм розташовується велике дзеркальце, яке обведено парою глянцевих смуг свинцево-сірого відтінку.
- Гронова листовійка. Передні крила комахи пофарбовані в коричневий колір і на них є візерунок, що складається з поперечних смужок світлого відтінку, який розведений блідо-синіми і жовтими цятками.
- Східна плодожерка. На крилах темно-бурого відтінку по передньому краю розташовуються білі штришками. На верхній частині крил є бархатисте чорне облямування. Забарвлення задніх крил більш блідий, коричнево-сірий.
- Боярышниковая листовійка. У самців такого метелика передні крила блідо-жовті, а у самки ― коричнево-сірі. Крила прикрашає візерунок, у самців він світло-коричневий і розмитий, а у самок ― більш темного відтінку. Забарвлення задніх крил більш блідий, при цьому у самок на їх поверхні є світло-рудий наліт.
- Яблунева листовійка, або яблунева плодожерка. Сірий нічний метелик, розмах крил у якої може варіюватися від півтора до двох сантиметрів. Довжина тонів гусениці близько 1,8 см, голівка у неї коричнева. Коричнево-жовта лялечка в довжину досягає від 0,9 до 1,2 див.
Крім даних видів на яблуневому дереві також іноді селяться сливова, дубова і грушева плодожерки, смородинная і плодова листовійки (їх опис можна відшукати нижче). Гусениці такого комахи завдають шкоди листі, нирках і плодах цієї культури.
Борються з листовійкою, що мешкає на яблуневому дереві, різними способами, при цьому не слід нехтувати профілактичними заходами. З весни і до початку активного росту плодів яблуні рекомендується обприскувати хімічними засобами, пізніше для їх обробки використовують менш небезпечні для людини народні кошти, а ще не забувають про механічні способи боротьби зі шкідником.
На початку сезону ранньої весни, коли на вулиці буде не холодніше 10 градусів, обприскати дерево розчином Дециса (на літр води 1 міліграм) або Профилактина (на відро води 500 мл). На одне доросле рослина береться не більше половини відра розчину. В подальшому знадобиться ще 2 обприскування засобами схожого дії (Десант, Карбофос, Тод, Дітокс та ін), вони проводяться незадовго до цвітіння і відразу після його закінчення. Всю скручену в клубок або трубочку листя потрібно обов'язково обривати, але не допускайте того, щоб гусінь втекла. Цю листя рекомендується знищувати вогнем, при цьому працювати потрібно в рукавичках. В середині літа після того, як гусениці попрячутся, знищити їх з використанням хімічних препаратів буде дуже складно. В цей час яблуневе дерево і поверхню грунту під ним обприскують піретроїдами, наприклад: Альфацином, Айвенго, Акордом, Алтыном, Фатрином або Фастаком. Обробляти даними засобами дерево слід лише тоді, коли на вулиці температура повітря не більш 23 градусів.
Коли плоди тільки почнуть набирати масу, обприскування яблуні отрутохімікатами потрібно зупинити. Після цього врятувати рослину від листовійок можна лише механічними і біологічними методами, наприклад, можна використовувати пастки і ловчі пояси. Своєчасно очищайте поверхню ґрунту під деревом від облетіло плодів і листя. Якщо є така необхідність, то обприскати рослину одним з народних засобів.
Листовійка на груші

На грушевому дереві можуть оселитися наступні види листовійок: яблунева, сливова, грушева, східна, гронова, заморозковая, розанная, боярышниковая і дубова плодожерки.
- Грушева листовійка (плодожерка). Передні крила у метелика темно-сірого відтінку, їх прикрашають хвилясті поперечно розташовані смужки. На передніх крилах на верхньому краї є плямочка коричнево-бурого кольору. Забарвлення задніх крил сірувато-бурий. Лінія темного кольору проходить біля основи сірої бахроми.
- Дубова листовійка, або зелена листовійка. Черевце у метелика сіре, а головка ― блідо-жовта. Крила можуть бути жовтувато-зеленими або світло-жовтими з розмитими краями.
Листовійки здатні залишити садівника без врожаю, тому що вони зжирають молоду поросль груші, при цьому нирки не з'являються, так як не встигають формуватися. Крім цього дерево, на якому оселилися плодожерки, сильно слабшає, що вкрай негативно впливає на його морозостійкість.
Заходи профілактики щодо появи листовійки в цьому випадку такі ж, що застосовуються при вирощуванні яблуневого дерева, а саме:
- На початку весни проведіть очищення кори, для цього видаливши з неї відмерлі ділянки. Потім пробелите основу скелетних гілок і штамб розчином вапна або крейди.
- При виявленні навесні тріщин і морозобоїн, виробляють їх зачистку до здорової тканини. Потім проблемне місце дезінфікується розчином мідного купоросу (1%), а далі промащується садовим варом.
- Перший раз дерево в цілях профілактики обробляють ранньою весною, поки бруньки ще сплять, при цьому температура повітря на вулиці повинна бути не нижче чотирьох градусів. Для цього використовують Препарат 30, він ефективно бореться з шкідливими комахами, які перезимували як у верхньому шарі ґрунту, так і в корі рослини. Далі обробки в превентивних і лікувальних цілях проводять лише такими засобами, як: Десант, Біном, Децис, Атом, Террадим, а ще можна використовувати препарати, описані в розділі про яблуневе дерево.
Після того, як плоди почнуть активно набирати масу, все обробки хімічними засобами припиняють. Далі можна буде застосовувати в боротьбі з шкідником лише народні засоби, а також різні механічні методи, наприклад:
- очищення пристовбурового кола від бур'янів і розпушування поверхні грунту в них;
- обрізка згорнутої листя, в якій знаходяться гусениці;
- регулярна прибирання облетіла листя і плодів;
- установка приманок, для цього на гілках вішають банки, наповнені заграв солодкої сумішшю;
- використання ловчих поясів, виготовлених з гофрованого паперу або мішковини.
В осінній час, коли закінчиться листопад, садовий ділянку потрібно очистити від облетіла листя, яку потім спалюють.
Листовійка на зливі

На зливі можуть оселитися ті ж самі види листовійок, що і на яблуневому або грушевому дереві, а саме: яблунева, гронова, дубова, сливова, боярышниковая, почковая, східна, плодова та ін.
- Сливова листовійка (плодожерка). Передні крила у метелика бурувато-сірі з фіолетовим відтінком, їх прикрашає розмите дзеркальце, на якому є крапочки і штришками чорного забарвлення. Коричнево-сірі задні крила у підстави пофарбовані в більш блідий відтінок.
- Плодова листовійка, або мінлива листовійка. Розмах крил у метелика від 1,7 до 2,1 див. Забарвлення крил у нього темно-сірий або коричнево-бурий з блідо-синім відливом, ближче до внутрішнього краю розташовуються білі плями. Верхня частина крил на 1/3 пофарбована в практично білий колір, по зовнішньому краю їх прикрашають коричневі, чорні або сірувато-блакитні плями і штришками. У коричнево-сірих задніх крил передній край більш блідого відтінку.
Для того щоб захистити сливу від цієї шкідливої комахи, починати з ним боротьбу потрібно вже ранньою весною:
- Основу скелетних гілок, а також штамб сливи обов'язково очищають від відмерлих фрагментів кори. Потім їх поверхня фарбують, використовуючи для цього вапняний розчин з мідним купоросом або крейдяний розчин, змішаний з Карбофосом.
- Своєчасно проводять профілактичні обприскування до розкриття нирок, незадовго до цвітіння та після його закінчення. Для цього використовують такі засоби, як: Децис, Препарат 30, Профилактин, Десант, Детокс, Тод і ін.
Обробку злив Препаратом 30 проводять тоді, коли повітря прогріється до 4 градусів, інші кошти буде діяти лише в тому випадку, якщо на вулиці не холодніше 10 градусів. Якщо шкідників на рослині мало, тоді видаліть їх руками або обприскати сливу будь-яким народним засобом. Спеціалісти радять проводити обприскування сливового дерева хімікатами, тільки якщо листовійок дуже багато. Інші заходи необхідно проводити за таким самим планом, який описано в розділах про грушеве і яблуневе дерево.
Листовійка на абрикосі

На абрикосі найбільш часто селяться наступні види листовійок, опис яких можна знайти вище: дубова, гронова, боярышниковая, яблунева, сливова, плодова, східна та ін.
У цьому випадку з шкідником борються точно так само, як і при вирощування груші, сливи або яблуні (дивіться вище). Пам'ятайте про те, що обприскування абрикоса потужними отрутохімікатами потрібно проводити тільки при крайній необхідності, коли шкідників дуже багато.
Листовійки на персику
Персик обробляють від шкідників такими ж засобами, що і грушу, яблуню та інші вже описані плодові дерева. Якщо комах мало, тоді використовують для обприскування народні кошти, а якщо вони виявляються низькоефективними, лише тоді рекомендується застосувати сильний хімічний препарат.
Листовійка на винограді

Найбільш часто винограду шкодять такі види листовійки, як: гронова, дворічна й виноградна.
Виноградна листовійка ― розмах крил даної метелики близько 2,5 см, ротовий апарат у неї подовжений. Забарвлення задніх крил бурувато-сірий, а передніх ― кольору охри, блідо-зелений або блискучий немов латунь. На передніх крилах присутні косі смуги темно-бурого забарвлення, вони більш чітко видно у самців, а у самок ― можуть бути відсутніми або ледве помітні. Гусениці зеленувато-сірого забарвлення з бурою голівкою в самому початку знищують виноградні бруньки, а потім починають поїдати молоді листові пластини, а також створювати собі притулку для цього загинаючи краї листочків і обплутуючи їх павутиною. Всього одна гусениця, робить собі притулок, здатна загорнути відразу кілька листових пластин. Вони з часом сохнуть, стають червоними і буріють. Гусениці виїдають листя, від якої залишаються лише прожилки, а також травмують грона і суцвіття.
Приступити до обробки винограду від цього шкідника можна вже в останні зимові тижні. Для цього використовують розчин кошти Нитрафен або ДНОК, яким рясно обприскують як самі рослини, так і опори, так як і там може зимувати листовійка. Протягом періоду вегетації для обробки винограднику від шкідника можна використовувати такі засоби, як: Цідіал, Суміцідін, Метафос, Фозалон, Екамет або Цимбуш, лепідоцид, Лепидобактоцид, Бітоксибацилін, Фастак. Останній раз таке можна обприскати рослину хімічними препаратами не пізніше, ніж за 30 днів до збирання врожаю. Крім обробок також потрібно систематично оглядати кущі і обрізати згорнуту листя разом з гусеницями, яка потім знищується.
Листовійка на смородині

Смородиновим кущах можуть нашкодити такі ж види листовійок, які селяться і на плодових деревах. Смородинова листовійка ― розмах крил у такий метелики близько 2,5 см, черевце у неї коричневе, а на фронтальних крилах є темно-коричневий малюнок, який представляє собою відмітину трикутної форми. З часом вона поступово зеленіє і стає майже смарагдовою. Всього одна самка здатна відкласти близько 150 яєць, з яких незабаром з'являться гусениці. Вони не тільки харчуються листям, але і скручують її в трубочку. Якщо на кущі шкідників дуже багато, тоді садівник може втратити практично все врожаю (до 80 відсотків).
Для того щоб врятувати смородину від цього шкідника, рекомендується обприскувати її народними засобами. Для цього можна використовувати як відвари, так і настої, приготовлені з рослин, що мають різкий запах або їдкий сік, наприклад: полин, бадилля помідорів або картоплі, часник і цибуля. Не забувайте регулярно розпушувати поверхню грунту під рослинами, а ще очищати її від облетіла листя, яку обов'язково знищують. У тому випадку, якщо дані методи виявляться низькоефективними, тоді доведеться використовувати хімічні засоби, які були перераховані в попередніх розділах.
Листовійки на малині

Найбільш часто малині шкодять такі види листовійки: розанная, смородинная, всеїдна, боярышниковая, сітчаста, вербова, пестрозолотистая, заморозковая і почковая. Але малина не так сильно страждає від такого шкідника, порівняно зі смородиною.
- Листовійка заморозковая ― це невеликий метелик, розмах крил у якій близько 2,2 див. У самців передні крила пофарбовані в сірувато-червоний або сірувато-бурий відтінок, при цьому у верхній частині є пара круглих плям темного забарвлення. Забарвлення задніх крил сірий. Передні крила самок сірі і слаборозвинені, на їх поверхні знаходиться щільне покриття, що складається з довгих волосків темного кольору. Задніх крил у самок немає. Гусениця пофарбована в брудно-зелений відтінок, на боках у неї знаходяться більш бліді смуги, головка ― буро-жовта.
- Листовійка сітчаста ― розмах крил у такий метелики близько 2,2 див. Передні крила вохристо-жовті або бурі, вони прикрашені візерунком коричнево-червоного або іржаво-бурого кольору. Блідо-бурі задні крила є напівпрозорими.
Знищують листовертку на малині точно так само, як і на смородині (дивіться вище). Проводите своєчасне проріджування кущів, обривайте і спалюйте згорнуту листя, виривайте бур'янисту траву і взрыхляйте поверхню грунту навколо рослин. Постарайтеся по можливості використовувати для обробки кущів народні засоби, які для людини практично нешкідливі.
Листовійка на трояндах

Іноді листовійки селяться і на квіткових культурах. На ураженому шкідником кущі можна виявити листя, згорнуту немов сигара. Найбільш часто на трояндах селяться розанные листовійки, що представляють собою маленьку метелика. У самців розмах крил близько 1,9 см, а у самок ― до 2,2 див. Охряно-жовті або темно-коричневі передні крила прикрашають вузенькі поперечно розташовані хвилясті смуги і кілька плям, які пофарбовані в більш темний відтінок. Довжина напівпрозорої гусениці може досягати до 20 мм, голівка у неї бура і блискуча. Забарвлення гусені різні відтінки зеленого. Яйця здатні вціліти при зниженні температури до мінус 27 градусів, але якщо зимовий період видався малоснежным, тоді вони можуть загинути. Гусениці обгризають листя, від якої залишаються тільки скелети, потім вони перебираються на верхню частину пагонів і вигризають бутони, після чого починають поїдати квітки.
Якщо шкідників на квітах трохи, тоді огляньте кущі і обірвіть всю згорнуту листя, яка потім знищується. В крайньому випадку рослини можна обприскати розчином Актара (на 1 л води 1 мл). Також для обприскування можна використовувати засоби, до складу яких входить пиретрин, наприклад: Айвенго, Альфацином, Фастаком та ін.
